A Crossing of the St. Louis - Southwestern Railway and the Texas & New Orleans Railway
Left:
This photo looks down the abandoned Texas & New Orleans (T&NO) right-of-way east
of its former crossing of the St. Louis Southwestern (SSW, "Cotton Belt")
Railway in northeast Athens. The cabin at right housed the automatic interlocking plant
installed in 1952. The
override controls for manual operation would have been mounted on a post nearby
or perhaps inside the cabinet. Behind the camera to the west, the
former T&NO tracks remain in service for 14 miles to serve an
industrial facility near Eustace. (Jim King photo, c.2005) Below:
The cabinet casts a shadow onto the crossing diamond in this 1955 image.
((c)historicaerials.com)
When the state of Texas reorganized many of its counties in 1850, Henderson County needed a new seat of government as the prior seat (Centerville) was no longer in the county. The community of Athens was founded where the new county courthouse was built, reportedly named after the capital of Greece in hopes that it would become a cultural center. But the Athens citizenry had very little time for culture after the Civil War; the post-war depression decimated the economy, so basic survival became the most important endeavor. By the mid 1870s, railroad construction had begun to accelerate in Texas, and Athens, like every other town, wanted to participate. The earliest indications of a railroad building through Athens began to appear in the fall of 1878 under the name of the Sabine Pass & Northwestern Railroad. It had been chartered in the summer of 1877 by investors from Kaufman and Lawrence, a tiny community between Terrell and Forney ten miles north of Kaufman. S. G. Reed, in his comprehensive reference, A History of the Texas Railroads (St. Clair Publishing, 1941), notes that the Sabine Pass & Northwestern appeared in the "gold standard" of railroad business publications, Poor's Manual, but that Poor's Manual...
...apparently ... was misinformed about this enterprise. In its issue for 1879, it reports that 11 miles from Lawrence, Texas to Kaufman was completed, already graded from Lawrence to Athens, 50 miles... that the whole road was under contract from Sabine Pass to Denison... However, in subsequent issues no mention is made of this road... The author has sought information from old timers in the sections where this road is supposed to have been graded and in operation. From these sources it is learned that a few miles of grade was thrown up out of Lawrence toward Kaufman but no rails were laid, and the project was abandoned about 1880.
![]() |
The Sabine Pass and Northwestern was able to get
newspaper publicity and there's no doubt that many readers took these
"facts" at face value. In areas where railroads had yet to penetrate,
both transportation and communications
were slow, so it was very difficult to corroborate such stories. Locals
in Athens could easily have refuted the claim that there was a graded "...road
connecting Lawrence and Athens..." Left: Denison Daily News, October 22, 1878 Right: Galveston Daily News, January 14, 1879 |
![]() |
Although the Sabine & Northwestern failed to materialize, two other railroads had their sights set on Athens. The first of these was known as the Tyler Tap Railroad, but in 1879, it changed its name to the Texas & St. Louis (T&SL) Railway. Two years earlier, it had completed a narrow gauge line from Tyler to Big Sandy, providing a service connection with the Texas & Pacific (T&P) Railway, which, unfortunately for the Tyler Tap, was standard gauge, hence a direct rail connection was not feasible. Nonetheless, the Big Sandy connection gave Tyler residents vastly improved transportation options. Under the new T&SL name, the line was extended 107 miles from Big Sandy to Texarkana in 1879 along with additional tracks into Arkansas.
![]() Galveston Daily News, August 26, 1879 |
Left: In the summer of 1879, the T&SL's
attention turned in the opposite direction, to begin planning for a
deeper penetration into Texas from Tyler to the southwest. By late
August, the T&SL was finalizing an agreement with Henderson
County officials to route the T&SL through Athens in exchange for a
subscription of $10,000 that apparently had already been raised.
Right: The
Fort Worth Daily Democrat of
October 24, 1879 quoted a St. Louis Post
- Dispatch interview with former Texas Governor Richard
Hubbard. Hubbard had left office in January, 1879 and had become a lawyer
for the T&SL. He explained that the T&SL had big plans to build
through Texas and Mexico to the port of Guaymas on the Gulf of
California. Below: The Galveston Daily News
of November 16, 1880 reported the T&SL tracks would reach Athens before
Christmas. Their December 7 issue reported that "...trains now run
... to Athens, in Henderson County."![]() Galveston Daily News, November 16, 1880 |
|
The T&SL continued building southwest beyond Athens in
1881, reaching
Corsicana and Waco.
By 1882, the Texas portion of the T&SL was profitable despite stiff competition
from several railroads, but the expansion into Arkansas had overextended the
enterprise. It lacked the lengthy sidings and rolling stock necessary to run
single-track rail lines efficiently over long distances, and it went into
receivership in January, 1884. Samuel Fordyce was named Receiver, but
reorganization of the railroad's finances was slow. The bankruptcy judge was
impatient and forced the T&SL to be sold rather than simply reorganizing the
debt. Selling required dividing the T&SL into two properties, the Texas portion
and the Arkansas - Missouri portion, so that the Texas portion could be
headquartered in Texas to comply with state law regarding track ownership.
Against the advice of Fordyce who predicted a quick return to receivership, the
plan was executed and the assets of both properties were sold to a bondholders'
committee. In February, 1886, the committee deeded the Texas assets to the
"St. Louis, Arkansas & Texas (SLA&T) Railway in Texas", a new company
expressly formed for the purpose of restarting the Texas portion of the
railroad. The Arkansas - Missouri assets were similarly deeded to the "St.
Louis, Arkansas & Texas Railway in Arkansas and Missouri" in April. The
management was the same for both companies, with Sam Fordyce as President.
As
Fordyce had predicted, the combined SLA&T companies
were soon unable to meet their financial obligations and they went into
receivership in May, 1889. Fordyce was again named Receiver, but with A. H.
Swanson appointed to work with him due to legal questions regarding Fordyce's
eligibility to be the Receiver for the Texas company. After a couple of years of reorganization,
another new company, the St. Louis Southwestern (SSW) Railway (which became
known as the "Cotton Belt") was incorporated as two companies, one in Texas and
one in Missouri, in January, 1891. Fordyce was again named President, and
somehow,
the receivership cycle was broken. The Cotton Belt was able to become
profitable, and it operated independently for the next four decades.
Left:
(Galveston Daily News, May 26, 1880) The other railroad project that
appeared to be heading for Athens in 1879 was the Texas Trunk Railroad. The
Texas Trunk had been chartered two years earlier to build from Sabine
Pass on the Gulf of Mexico to Dallas (i.e. the same plan as the Sabine Pass &
Northwestern, but to Dallas instead of Denison.) After reaching Kaufman, the
Texas Trunk went into receivership. Their revised plan out of Kaufman was to
build to Rusk, possibly by way of Palestine, thus bypassing Athens to the south.

Above: Choose your news. The
Texas Trunk was already "located" four miles east of Athens (left,
Galveston Daily News, May 15, 1881),
or its surveyors were eight miles south of Athens (center,
Dallas Daily Herald, June 14, 1881),
or the Texas Trunk was rapidly progressing toward Athens and was negotiating
with civic leaders there to secure a right-of-way through the town (right,
Dallas Weekly Herald, July 28, 1881.)
It is possible that some version of all of these stories is true since the
precise geography of the area was not fully detailed on maps. Route options
had to be explored by survey crews to find the best way to minimize creek crossings
and marshy areas.
Despite various claims about its location and intent, the Texas Trunk only ran from Dallas to Kaufman as of August, 1881. By December, it was in receivership, where it would remain until it was sold in the summer of 1883 to a newly organized Texas Trunk Railroad. The tracks were extended 16 miles southeast to Cedar in 1883. In and out of receivership two more times with no further construction, the fate of the Texas Trunk was not resolved until 1899 when the Texas Legislature passed a law allowing the Texas Trunk to be acquired by the Texas & New Orleans (T&NO) Railway. T&NO was owned by SP and primarily operated in southeast Texas. As a condition of the purchase, the new law required the T&NO to complete a line between Dallas and Beaumont by connecting the Texas Trunk to existing T&NO tracks that went north from Beaumont to Rockland.
The
T&NO resumed construction from Cedar, reaching Athens (26 miles) in
1900, Frankston (22 additional miles) in 1901 and
Jacksonville (15 additional miles)
in 1902. From Rockland, northward T&NO construction had reached Mahl (6
miles north of Nacogdoches) by the end of 1902. From there, the final 38 miles to
Jacksonville was built in 1903.
Right: Railway Age
on May 4, 1900 reported T&NO trains in Athens on May 1.
Left:
This image snippet from the 1907 index for the Sanborn Fire Insurance map set of
Athens shows the Cotton Belt / T&NO crossing located 0.4 miles northeast of the
Henderson County Courthouse. The detail map shows an exchange track existed in
the north quadrant of the diamond. The T&NO reached Athens in May, 1900, but it
most likely did not cross the Cotton Belt until it built beyond Athens to
Frankston in 1901. The Cotton Belt was operating independently, but
in 1932, it also became controlled by Southern Pacific (SP). In 1934, SP merged
all of its Texas and Louisiana railroads into the T&NO
except the Cotton Belt, which remained a
subsidiary of SP. The Cotton Belt continued to operate independently
until it entered voluntary receivership in December, 1935. At that
time, a Trustee was appointed to manage the railroad for the creditors. After
financial reorganization, it emerged from receivership and continued as a
subsidiary of SP until it was merged with SP into Union Pacific in 1996.
The Athens crossing was most
likely gated pursuant to regulations issued by the Railroad Commission of Texas
(RCT) in 1901, but it was not a
priority location for an interlocker. The crossing was close to downtown; trains
would have been operating slowly near their respective depots hence stopping at
the diamond would not have resulted in a significant time or energy penalty. The
crossing was finally interlocked on June 12, 1952 with an automatic plant.
According to the January, 1953 issue of Railway
Signaling & Communications, the interlocker was built by Union Switch
& Signal and had home signals in all four directions.
Left:
Is this a gate structure on the T&NO directly east of the Cotton Belt crossing
in Athens? The image is from 1947 ((c)historicaerials.com), several years prior
to the installation of the automatic interlocker. If it was a swing gate, the
acute angle of the crossing required a nearly 180-degree swing. Compare this
image with the 1955 image at the top of the page after the interlocker had been
installed.
Below: Google Earth satellite
image of the crossing and the interlocker cabinet in January, 2022

Arguably, the T&NO and Cotton Belt both being SP properties would raise the question of whether an interlocker for their crossing would need to be approved by RCT. RCT's regulatory authority over railroad crossings dated to a 1901 law that charged RCT with the responsibility to "define the mode of crossing to be made when one railroad seeks to cross the tracks of another railroad company." But the argument that interlockers of a single railroad were exempt from RCT oversight had failed in the late 1920s when RCT required the Panhandle & Santa Fe Railway to seek approval for yard interlockers they had elected to install at Canyon and Pampa where there was no hint of another railroad or subsidiary. RCT's position was that their approval authority extended to all interlockers, regardless of the railroad(s) being protected. Railroads did not challenge RCT's interpretation in court. They had to work with RCT daily, so they could not afford to have a strained relationship. RCT appears to have been reasonable in their reviews, so there was little to be gained for the railroads by picking a fight. The choice of an automatic interlocker was no surprise. Automatic interlockers had begun to be approved by RCT in 1930, and they had been gradually appearing throughout Texas to replace older interlockers, or in this case, interlock a crossing for the first time.
![]() |
Left:
This map depicts the main rail lines near Athens c.1910. Besides the Cotton Belt and T&NO main lines, there were tracks from Tyler south to Jacksonville and beyond that had been purchased by the SLA&T in 1887. They were not part of the Cotton Belt's acquisition of the assets that terminated the SLA&T's receivership, but were later acquired by the Cotton Belt when it purchased the Tyler & Southeastern in 1899. The International & Great Northern (I&GN) operated through Jacksonville on its lengthy main line between Laredo and Longview. The I&GN is referenced in the Galveston Daily News article of May 15, 1881 and in the Dallas Daily Herald article of June 14, 1881, both shown above. The I&GN was the biggest railroad in Texas in the 1880s, so making a connection to it was deemed a good business strategy by the Texas Trunk's planners. The Texas Midland (TM) operated through Kaufman and Terrell, with endpoints at Ennis and Paris. In the late 1920s, it came under SP control and was merged into the T&NO in 1934. Except for Troup, every town depicted on this map had a numbered interlocker: Kaufman, Tower 39 Mineola, Tower 62 Grand Saline, Tower 130 Terrell, Tower 131 Big Sandy, Tower 137 Jacksonville, Towers 176 and 201 Tyler, Tower 183 Athens, Tower 200 |
In 1981, SP officially
abandoned 137 miles of track between Bonita Junction (near Nacogdoches) and
Seagoville (on the outskirts of Dallas.) This ostensibly included all of the
T&NO tracks through Athens, but it did not actually include the tracks between
Eustace and the Tower 200 crossing nor did it include an industrial lead out of
Eustace to a natural gas processing plant. The plant opened in 1980 and the lead
exists on 1981 aerial imagery (but not on earlier imagery), so it was presumably
built coincident with the plant. The former T&NO tracks from the Cotton Belt
connection at Tower 200 to Eustace remain in service as the Athens Industrial
Lead. The remainder of the T&NO line between Dallas and Seagoville was abandoned
in 1989, and the tracks between Bonita Junction and Beaumont were abandoned in
stages. A short segment northwest of Bonita Junction remains intact to serve a
soft drink bottling plant. The Cotton Belt tracks through Athens and the Athens
Industrial Lead are owned by Union Pacific (UP), which acquired SP in a merger
in 1996.
Stuart Schroeder adds these comments about operations through
Athens in the 2000 - 2006 timeframe.
I dispatched the former Cotton Belt early 2000 to 2006, which included the Athens Subdivision (as UP named it). During that period we were running unit sulfur trains out of Eustace eastward back toward Big Sandy.
Stuart explains why 1992 is often cited, incorrectly, as the year when the Cotton Belt was fully merged in to SP.
The Cotton Belt remained a separate corporation until after the UP acquisition. That 1992 date is a bit confusing. This was part of Anschutz’s ‘Road to 1992’ marketing plan. Everything was marketed as ‘Southern Pacific Lines’ and locomotives were painted in SP speed-lettering, including those owned by SSW and D&RGW. A lot of those subsidiary locomotives had sub-lettering beneath the numbers on the sides of the locomotive cabs.

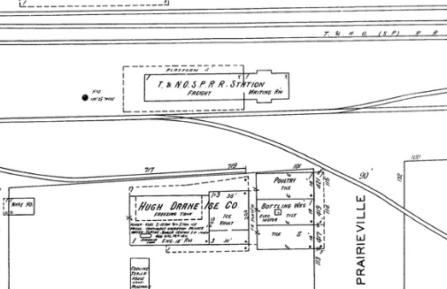
Above: These images from the 1927 Sanborn Fire Insurance
maps of Athens show the locations of the two passenger depots. The Cotton Belt
depot was at the intersection of N. Prairieville and W. Larkin. The T&NO depot
was two blocks farther north along N. Prairieville, where it intersected the
T&NO tracks. The Cotton Belt depot survived to the 1990s and was razed. The fate
of the T&NO depot has not been determined, but it appears to have been
decommissioned in the 1960s. Below:
Cotton Belt depot, undated photo (H. D. Connor collection)
