Tower 85: Crossing of the Houston Belt & Terminal Railway and the Galveston, Houston & Henderson Railroad
Tower 189: "Magnolia Junction", Crossing of the Houston Belt & Terminal Railway and the International & Great Northern Railroad

Above Left: Kenneth Anthony
took this photo of the Tower 85 crossing in 1986. The view is south along the
East Belt. Above Right: The
reason the Railroad Commission of Texas began to list the location of Tower 85
(green circle) as "Houston (Baker St.)" in 1927 was to distinguish all of the
towers generically assigned as "Houston". Tower 85 got the Baker Street
postscript because Baker was the closest street (blue oval) to the tower, as
illustrated by this annotated image from a 1913 Houston street map (courtesy,
Texas State Library & Archives.) Later, Baker St. was renamed 65th St.
and it no longer crosses the tracks (if it ever did - maps of this nature were
often prospective based on a town's plat.)
Tower 85 has controlled a major rail junction in
Houston for more than a century, a crossing of the
Houston Belt & Terminal (HB&T) Railway and the Galveston, Houston & Henderson
(GH&H) Railroad southeast of downtown. The Railroad Commission of
Texas (RCT) initially listed Tower 85's location as "Houston", but beginning
with RCT's 1928 Annual Report issued in January of that year, the site was updated to "Houston (Baker St.)".
Files in the RCT archives at DeGolyer Library, Southern Methodist
University contain only one reference to "Baker
Street", a letter dated December 8, 1910 from HB&T to the RCT submitting the
original interlocking proposal. The letter states that the interlocker would
protect "the East Belt Line tracks of this company and the tracks of the
GH&H railroad at Baker Street, Houston."
The GH&H was one
of the first railroads in Texas, chartered in 1853 to build between Houston and
Galveston, with plans to build north to Henderson in deep east Texas.
Construction was delayed, but eventually began at
Virginia Point; rails reached Houston in 1859. The trestle from Virginia Point onto Galveston Island
was completed the following year, just in time time to be used by both sides
during the Civil War. After a post-war foreclosure and restructuring, the GH&H
was acquired by rail baron Jay Gould who again reorganized it and then sold it to the
Missouri-Kansas-Texas ("Katy") railroad which he controlled. Since the Katy had
no tracks near Houston or Galveston at the time, the GH&H was then leased by the
Katy to the International & Great Northern (I-GN) Railroad, another company
controlled by Gould. In 1888, Gould lost control of the Katy. Five years later,
Katy's tracks reached Houston and they filed a lawsuit to revoke the lease to
the I-GN. In a final settlement reached in 1895, the Katy sold a half interest
in the GH&H to the I-GN and both railroads gained permanent rights on the GH&H. Both railroads
eventually became part of Missouri Pacific (MP) and ultimately, Union Pacific
(UP),
which continues to operate the former GH&H line.
The other
railroad at Tower 85 was the HB&T which had the responsibility for establishing the interlocker
(as the "junior" railroad at the crossing.) The HB&T was formed in
1905 by four railroads to provide switching services, including building a "belt
line" around Houston to facilitate interchange and constructing a union passenger station downtown. The railroads each had a
quarter interest in the company and each contributed other assets such as
existing tracks. One of the four railroads was the Gulf, Colorado & Santa Fe
(GC&SF) Railway (the other three, all run by B. F. Yoakum, were the Trinity & Brazos Valley,
the Beaumont, Sour Lake & Western, and the St. Louis, Brownsville & Mexican.)
It's ironic that Santa Fe was one of HB&T's owners because their initial main line
route out of
Galveston had specifically avoided the city of Houston.
Galveston investors blamed Houston officials for unwarranted service disruptions on the GH&H; Santa Fe
avoided Houston to ensure they would not suffer the same fate. Yet, by
1883, the Houston economy had become so important that Santa Fe could no longer ignore
it. They built a branch that year departing their main line at Alvin and running 26 miles north into downtown Houston. They also built a yard (eventually known as "South Yard") along
this branch approximately two miles south of downtown. About 25 years later,
access to
HB&T's East Belt began near the south end of this yard. HB&T took over
yard operations from Santa Fe and then built a "New South Yard" (Tower
117) directly south of the East Belt connection.
RCT records attribute two construction activities to
the HB&T: 8.13 miles in 1907 and 9.74 miles in 1912. This construction produced a
semi-circular belt line around the east side of Houston along with new tracks
north and south out of downtown. While RCT construction records do not provide
dates for specific track segments, RCT's interlocker records show that
Tower 76 was commissioned in 1908. This was a
crossing of the Houston East & West Texas Railway and the HB&T on the north
side of Houston
implying that HB&T's 1907 construction included the northern
part of the belt line. This is consistent with the fact that HB&T made a direct
connection to meet the
Trinity & Brazos Valley (T&BV) Railway which was building into Houston on a
southeast heading in 1907. Nearing
Houston, the T&BV line curved due east, becoming HB&T tracks at some point
near, but west of, Tower 80. This completed T&BV's Dallas-Houston main
line which became an important link for overhead traffic but lacked the local
traffic necessary to become profitable. T&BV commenced a long
receivership in 1914 that ended in 1930 when its assets were transferred to the newly organized Burlington-Rock Island (B-RI), a joint venture of the
Chicago, Burlington & Quincy (through its Ft. Worth & Denver subsidiary) and the Chicago, Rock Island & Pacific railroads.
![]() |
Left:
This map appeared in the March, 1952 edition of
Railway Signaling and Communications
in an article discussing recent interlocking changes in Houston. It has
been annotated to illustrate the semi-circular belt line constructed by
the HB&T around the east side of Houston. Note that the published map
did not include all rail lines and towers that would otherwise be
visible, e.g. the tracks of the Houston East & West Texas Railroad,
which crossed the HB&T at Tower 76, were not shown. Towers 76 and 86
have been annotated but were not marked on the original map. Numerous
other lines and towers that were active in 1952 were also omitted. The following railroad abbreviations are used on the map: B. - R. I. (Burlington - Rock Island) B. S. L. & W. (Beaumont, Sour Lake & Western) Ft. W. & D. (Fort Worth & Denver) G. H. & H. (Galveston, Houston & Henderson) H. B. & T. (Houston Belt & Terminal) I - G. N. (International & Great Northern) M - K - T (Missouri - Kansas - Texas) M. P. (Missouri Pacific) S. P. (Southern Pacific) St. L. B. & M. (St. Louis, Brownsville & Mexican) |
Tower 85 was commissioned by RCT on May 3, 1911 as a
12-function mechanical interlocker controlling a junction of the HB&T and the
GH&H. Presumably, part of HB&T's 1907 construction
included the section of the East Belt where Tower 85 was located since its
commissioning date precedes the HB&T construction accomplished in 1912. RCT's list of
interlockers dated December 31, 1923 reduced the number of functions at Tower 85
to 11, and, suspiciously, changed the commissioning year to 1919 (with the month and
day remaining May 3.) This error was corrected in the list published three years
later at which time the number of interlocker functions increased to 19 and the
date reverted to 1911. This was merely a swap of the 2-digit year and the number of
interlocker functions, i.e. the original error was just a typesetting
mistake. RCT's interlocker list
dated December 31, 1927 revised the
tower's location to "Houston (Baker St.)" and inexplicably changed
the commissioning date to February 10, 1911. A year later, the number of functions
increased to 21 and the commissioning date reverted to May 3, 1911.
The
RCT archives at DeGolyer Library contain correspondence that indicate
the original Tower 85 interlocking proposal engendered technical concerns on the
part of an RCT engineer named "Parker". On December 12, 1910, Parker penned a
handwritten memo to RCT management questioning whether the interlocking plan should be approved. His
main issue centered on its proximity to
HB&T's crossings of an electric rail line and I-GN's Magnolia Belt branch. Parker wrote "There is another steam
line that should be taken into the plant I think and an interurban line as
well." An expert on Houston's electric lines, Steve Baron, explains that Parker was
slightly mistaken... "The electric line on Harrisburg Road was a
streetcar line, not an interurban. The steam road people may have referred to it
as an interurban but it was just a long suburban streetcar line, built and
operated by the Houston Electric Co. which was the local streetcar
operator. This track was used by two routes, the Harrisburg line and the Central
Park (later called Port Houston) line. Service on the Harrisburg line ended in
1928 and on the Port Houston line in 1936, at which point the crossing was most
likely removed. As was the case with virtually all crossings between city
streetcars and steam roads, the crossing was uncontrolled and the railroad
trains had priority." Parker eventually signed off on the proposal. Notations
on the interlocker documentation
imply that
inclusion of spare levers in the interlocking machine, presumably for future
use to control these nearby crossings, was sufficient to overcome Parker's
objections.
As the map below shows, Parker's concerns were well founded. The
diamond at Tower 85 was only about 700 ft. from the streetcar crossing at
Harrisburg Blvd, and I-GN's Magnolia Belt was approximately 300 ft. beyond. All trains stopped at
the uncontrolled Magnolia Belt diamond; this was the law for uncontrolled
crossings of two railroads at grade and it was also explicitly stated on a 1934
drawing of the Tower 85 interlocking plant. Although Tower 85 benefitted GH&H
trains by allowing them to maintain track speed (if the diamond was unoccupied), HB&T trains passing through
Tower 85 were either slowing down (northbound) for the stop at the Magnolia
Belt, or attempting to gain speed (southbound) from having stopped there already.
Tower 85 would never maximize operational benefits for HB&T until the Magnolia
Belt diamond was interlocked. RCT held a hearing on October 30, 1942 to approve
an automatic interlocker for the Magnolia Belt crossing and the
interlocker was commissioned as Tower 189 shortly thereafter.
Location Map, Tower 85 and Tower 189 (Google Earth)

Above: The proximity of
the two interlockers is apparent from this map. Today, the Tower 85 crossing is
still in use with the GH&H line now operated by UP. The former
Magnolia Branch is abandoned west of Tower 189, but remains intact to the east
for HB&T to reach industries along the Houston Ship Channel. Where the Houston Electric
streetcar line formerly occupied Harrisburg Blvd. a century ago, Houston's light
rail METRORail Green Line now uses the right-of-way. The final step in opening
the Green Line was completion of a bridge over HB&T's East Belt. In the image above, METRORail's shops and storage tracks can be seen above the light blue "GH&H" label.
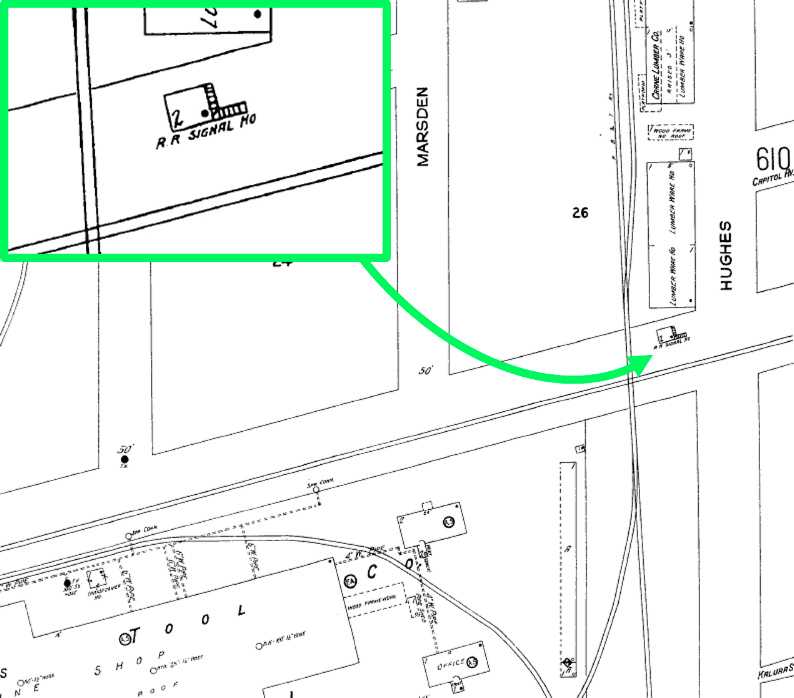
Below Left: The 1925 Sanborn Fire Insurance map of
Houston shows the precise location of Tower 85 in the northeast quadrant of the
diamond west of Hughes St. Magnification of the map (below
right) identifies it as a 2-story structure with an external
staircase on the east side.

Files at DeGolyer Library contain RCT correspondence dated March 16, 1934 authorizing the Tower 85 interlocker to be remotely controlled from Tower 86. This presumably led to the demise of the Tower 85 structure and likely explains why no photos of it have been located. However, there is documented evidence (below) that some sort of Tower 85 structure was reestablished in later years.
![]() |
Left:
A case published in 1953 from the National Railroad Adjustment Board
involved a union complaint about loss of telegraph operator jobs due to
a terminal consolidation agreement between I-GN and HB&T. The
agreement specified that "telegraphing that was being performed at Congress
Avenue would be moved to Tower 85." Clearly,
some kind of manned Tower 85 structure
existed when the agreement was made in 1949. The passage states that
Tower 85 was "three miles from Congress Ave. yard office" which is
reasonably close to the actual distance, i.e. presumably this new Tower 85
was at the traditional Tower 85 junction. Was there a reason that
operations personnel needed to be at this specific location? Or...was it merely convenient real estate
owned by HB&T, i.e. a place to put a new building that could just as easily have been
located somewhere else? The answer has not been determined. The passage at left also has a mysterious reference to "Tower 1", apparently some sort of Houston-area control point, not the Tower 1 located in Bowie, Texas. |

Above Left: The March, 1950 update to the Sanborn Fire
Insurance maps of Houston shows a one-story "Railroad Signal & Switch House"
located in the northeast quadrant of the Tower 85 crossing. This concrete ("Conc.")
structure was east of Hughes St. whereas the original tower was west of Hughes St.
(see 1925 Sanborn map further above). Above Center:
This image is taken from a 1966 aerial photo ((c)historicaerials.com) of the
Tower 85 crossing showing a building in the northeast quadrant consistent
with the structure shown on the Sanborn map. A light gravel parking area
surrounds the building and connects to Hughes St. The size of the building's
shadow is similar to those of others nearby implying a
one-story structure as expected. The building also appears on a 1953 image, the
earliest historic aerial available, and can be seen on imagery as late as 1982. It does not
appear on 1995 or later imagery. Other smaller structures are also visible
including one known to be an equipment cabinet, perhaps even the same one (above right)
that remains intact
as of December, 2019. (Google Street View)
Below: This 2019 east-facing simulated 3-D image of the
northeast quadrant of Tower 85 shows the equipment cabinet remains, but not much else!
(Google Maps)
Tower 85 Site Photos by Tom Kline (click to enlarge)

In 1890, John T. Brady established the Magnolia Park community on 1,374 acres he owned east of Houston and built a large amusement area along the south bank of Buffalo Bayou. Brady chartered the Houston Belt & Magnolia Park (HB&MP) Railway in 1889 to develop freight business on his waterfront land and ferry passengers between downtown Houston and his amusement park. The HB&MP lasted only a year before entering receivership, but it managed to stay afloat during the 1890s by leasing parts of its tracks to other railroads. The HB&MP was sold to Herbert F. Fuller in November, 1898, and six months later, Fuller transferred the property to the newly chartered Houston, Oak Lawn & Magnolia Park (HOL&MP) Railway. Shortly thereafter, the HOL&MP was sold to the I-GN. Plans for the Houston Ship Channel were in work and I-GN had the same vision that motivated Brady to charter the HB∓ ocean-going ships would soon traverse Buffalo Bayou and industries would populate the new port. The city of Houston owned some of this land and established the Port of Houston, served by I-GN. When HB&T's East Belt was constructed, it crossed the I-GN Magnolia Branch a thousand feet north of the Tower 85 crossing. The Magnolia Branch crossing was interlocked in 1942 as Tower 189 and by 1947, and perhaps much earlier, a connecting track was added in the northwest quadrant. At some point after 1950, ownership of the branch was conveyed to the HB&T.
Below Left: The 1950
update to the 1925 Sanborn map shows an equipment cabinet located at Tower
189 Magnolia Junction. Below Right: Magnification reveals a one-story
"Signal Control House" structure with 8-inch tile walls, presumably the
equipment cabinet that housed the automatic interlocker.


Above Left: View to the west-northwest
toward Magnolia Junction from 65th St. Sometime prior to 1984, the Magnolia Belt
tracks west of the East Belt were abandoned. (Google Street View, 2017)
Above Right: Kenneth Anthony
explains this 1991 photo he took looking west on Avenue C, the street where he
lived as a kid:
"In the 1950s into the 1990s, SW diesel switchers were seen on
nearly all HB&T jobs. All were black when I was kid, then black with yellow
tiger safety stripes on the corners, and finally yellow. This HBT switcher is
going south on the East Belt line, with the Magnolia Junction northeast quadrant
curve in the foreground." The northeast quadrant curve
that Kenneth references is the right-hand track in the image above left.
Kenneth Anthony grew up in a house located on the
southwest corner of Avenue C and 65th St., literally a stone's throw from Magnolia
Junction. Below are some of Kenneth's recollections of Magnolia Junction and the
trains that passed through it:
A little about Magnolia Junction in
Houston, where I grew up. In the baby book my mom kept for me, she recorded that
the 9th word I spoke was "choo choo." My childhood bedroom had a window about
100 feet from the former Houston Belt & Magnolia Park Railway, a branch line of
the Houston Belt & Terminal, and 500 feet from the East Belt of the Houston Belt
& Terminal. ... I didn't know it as an infant, but there was a connection on the
northwest quadrant of the crossing of the East Belt and the Magnolia Branch. No
connections existed then on the other quadrants. There were major railroad
changes “in my backyard” when I was three years old, about 1947. The railroad
bought and tore down two houses at the west end of Avenue C, to clear
right-of-way to build a curve to connect the East Belt and the Magnolia line on
the north-EAST quadrant of the crossing. This formed a wye which allowed turning
locomotives or short cuts of cars. It also allowed continuous running between
the north end of East Belt with either west or east on the Magnolia Branch.
Whenever a train went around curve nearest my house, the wheels went
SKREEEEEEEE! ...
An incident
from before I started taking pictures of railroads. It was between 1953
and 1956 because those were the years I walked home afternoons from Burnet
Elementary School on Canal Street. A train derailed at Sherman Street,
right at the turnout where the northeast interchange curve from Magnolia Branch
connects to HB&T East Belt. A boxcar overturned and went through the side
of a house. I saw the aftermath. The house, south side of Sherman
and just east of HB&T East Belt was torn down and the property remains vacant
to this day.
I never saw any passenger trains as such on
the Magnolia Branch or the East Belt of the HB&T, but I
clearly remember one unusual sighting from my back driveway when I was three
years old, just after the new curve was laid on the back side of the block where
I lived. The squeal of a train around the curve got my attention in time to see
a flat car with seats mounted on it for people to ride. There weren’t any
riders, but it was so unusual I remembered it clearly. Never saw it again until
FIFTY YEARS LATER when I found archived copies of a Port of Houston promotional
magazine, and there was a photo of that car. The issue was dated May 1948, the
year I was 3 years old. An article said there had been an inspection train for
officials to view new railroad facilities at the port. The observation flatcar
may have been on a “shakedown cruise” or “dry run” before the bigwigs took their
tour when I saw it crossing 65th Street. The new curve built at Magnolia
Junction may have been one of the new railroad facilities to serve the port. It
was some two miles from the port, but it certainly made the south side of the
port more accessible to traffic on the HB&T.
As for everyday trains: I regularly
saw 2 or 3 short trains a day on the Magnolia Branch. Just about the time of the
curve construction, the locomotives changed from steam (“choo choo”) to diesel.
My dad described the diesels as going “boogedy boogedy boogedy” instead of “choo
choo.” Black switchers with white lettering, what I now know as Roman font,
pulling five or ten cars. And never a caboose on the Belt. As I grew a little
older and began looking farther, I saw quite a bit more traffic going up and
down the East Belt. Usually Belt switchers with a few cars. But sometimes
Missouri Pacific trains with blue F-units and blue GEEPs.
I was not sure
from childhood memory when the southeast curve was laid at Magnolia Junction,
but I found a photo and document which showed it had been done by 1953. The new curve
connected with the east track of the East Belt just short of Harrisburg
Boulevard and allowed direct runs of trains from the south on the East Belt
(such as from New South Yard) to the south side of the Port of Houston. Because
the crossing is not at right angles but at 72 degrees, the northeast curves and
southeast curves are not the same length, though apparently both are of about
the same radius (sharp!) The southeast curve only has to turn 72 degrees and can
do it in less distance from the crossing, than the northeast curve which has to
navigate 108 degrees of curvature, which puts its east end switch frog right in
the east edge of 65th Street. Laying the southeast curve required taking land
from the Contractor’s Supply lumberyard. The older lumber sheds at the west end
of the site, open to a central courtyard, were torn down and replaced with
fully-enclosed cabinetwork and millwork buildings, their walls truncated to fit
within the new railroad curve. The west end of the lumberyard’s industrial spur
was also re-laid to fit on the inside of the junction connection curve. The lumberyard needed more room for outside lumber storage. But
where? The southeast curve left only a sliver of room in a triangle between the
curve, the Magnolia Branch and the East Belt. The geometry of the 72 degree
diamond crossing of the two rail lines created a somewhat larger triangle of
land inside the northeast quadrant, one made unsuitable for residential use by
the heavier rail traffic, and cut off from the adjacent neighborhood by the
raised grade of the track. Some kind of arrangement was made for the lumberyard
to use the area. Fill dirt was trucked in to bring the area up to rail top level
to allow an easy private crossing from the lumberyard across the southeast curve
and the Magnolia line. It would be used by forklifts carrying long loads of 2x4
studs, some 16 and 18 feet long, so a fairly smooth crossing was needed. During
the time before the fill dirt was graded and asphalted over, neighborhood kids
played in this area when no construction workers were present. Explored, built
forts, etc. That was the occasion in March
1955 for my shooting a picture of my little brother Shelley, neighbor girl
Beverly and a “fort” built of scrap lumber. (This photo,
below left, was on
the first roll of film I ever photographed, at age 10.) In the background beyond
the track, the 3 houses on the south side of Avenue C were left after the
railroad condemned and demolished two houses for the curve. The nearest house
has a horse stable and chicken coops, laid out to fit in the irregular back of
the property left after a portion was cut off by the railroad. Farther back, the
barn-shaped building is my father’s sheet metal fabrication shop on the ground
floor, with a Lionel train layout on the upper floor.
In this photo from 1991 (below right),
the “Brady” sign referred to the crossover, located in the
block south of Brady Street. Before 1970 or so, the East Belt was mostly single
track, but a siding went off to the east of the single main track between
Sherman and Brady, and the north-east quadrant of the Magnolia connection was
accessed through that siding. The siding rejoined the main track just north of
Tower 85, and the siding also accessed the curve from the East Belt to GH&H.
Another siding diverged from the HB&T East Belt main track on the west side
between Sherman and Brady, paralleling the East Belt northward to provide access
to Esperson industrial district between Canal and Navigation. An HB&T
system map from a 1974 Zone Track Spot book seems to label that siding as
“Burris.” The Burris siding and the siding to Magnolia Branch overlapped each
other. Then when the East Belt was doubled tracked, with a second track
continuing the alignment of the Magnolia access siding, it created a crossover,
to which the Brady name apparently refers.


Eventually, t
This photo (above
right) was taken in August 1990
from just south of the dead-end of Avenue C. looking west and it shows what
the northeast quadrant connecting curve looked like for most of the period from
1955 to 2005. Contractor's Supply and Lumber Co. had outside lumber storage in the
open area inside the wye. In the photo, some kind of track alignment check
is being made.
I do not
remember ever seeing any traditional manned 2-story tower at Tower 85, but it
would have been on the east side of Hughes Street. I almost always walked right
along the railroad and saw the tracks and the crossing, and a guardhouse for
entering Hughes Tool. It could have been there and I just missed it. I also
missed ever seeing the MoPac Galveston section of the Texas Eagle passenger
train, even though it was running barely 4 blocks from my home. One thing I DID
see, late 1950s or early 60s… crashed diesel locomotives
from what looked like two trains that got to the crossing at the same time, one
eastbound on GH&H and one southbound on HB&T East Belt. One diesel turned
over on its side, and one standing ON END. At least, that’s my memory as
an early teen...
Thanks for the memories, Kenneth!