Crossing of the Galveston, Harrisburg & San Antonio, the Galveston, Houston & Henderson, and the Galveston, Houston & Northern railroads

Above: This c.1940 photo is number MKT145 in the John W.
Barriger III National Railroad Library, taken by Barriger from the rear of his
private railcar as his train proceeded north on GH&H tracks from Galveston to
Houston. The identity of the tower as Tower 30 is established by several details
in, and associated with, the image. The prior two photos in this
sequence were MKT144 (Tower 73, Texas City) and MKT142 (Tower 96, Galveston), suggesting a
northbound trip on MKT tracks (the GH&H was 50% owned by MKT). Tower 30 would
have been the next significant railroad structure Barriger saw after Tower 73 as he traveled north.
The architecture matches that of Tower 30 based on photos taken roughly 30 years
earlier (below) and ten years later (second below, right.) Barriger's view is to the south, with
the depot across from the tower partially obscured by a caboose. The depot's
roof outline matches that of GH&H's Harrisburg depot (below.)
Below: This excellent 1908 photo has a view facing north, precisely
the opposite of the image above,
that shows not much changed over the (approximately) three decades between
the photos. The two semaphores adjacent to the visible track appear unchanged in
both images. (Ken Stavinoha collection)

Below Left: Kenneth Anthony
provides this photo of the GH&H depot at Harrisburg. Note the small hut at far
left that matches the hut in Barriger's photo. Barriger was looking south,
facing the north end of the depot whereas this photo faces northeast and shows
the west side (trackside) and south end of the depot. The unusual end roofline
is unmistakably visible in both photos. Note also the chimney, which is taller
than normal and has a "top heavy" shape common to all of the photos.
Below Right: This photo
of Tower 30 was originally published in the May/June 1951 edition of SP Bulletin,
a publication
of the T&NO railroad. The
photo is facing west and the GH&H tracks cross in the foreground. In the Barriger photo, the
tower's north side is visible and is wider than the east side visible in
this photo. The Barriger photo shows the roof crests to a short section of
flat roofline (which makes sense for the long side of a rectangular tower
structure) while the tower roof crests to a point in this photo because the flat
roof peak can't be seen from this angle. (David Milton Collection)

Construction of the first rail line in Texas began in 1853 as the Buffalo
Bayou, Brazos and Colorado (BBB&C) Railroad built west toward San Antonio from Harrisburg, a settlement
on Buffalo Bayou. A few years later in the 1857-1860 time frame,
the Galveston, Houston & Henderson (GH&H) railroad built
north from Galveston to Houston, crossing the BBB&C just west of
Harrisburg at one of the earliest railroad junctions in Texas. After the Civil War, the BBB&C was taken over by the
Galveston, Harrisburg and San Antonio (GH&SA) Railway. In the 1880s, the GH&H was sold to
the Missouri-Kansas-Texas (MKT, "Katy") Railroad. At that time, the Katy did not yet reach Houston,
so the GH&H was leased to the International & Great Northern
(I-GN) Railroad. Years later, the Katy reached Houston and connected
with the GH&H. GH&H's ownership became split
between the Katy and the I-GN, both railroads using the line for
access to Galveston.
The Galveston, La Porte and Houston (GL&H) Railway was another railroad that
passed through Harrisburg. The GL&H owned tracks between Harrisburg and La
Porte, paralleling Buffalo Bayou, from La Porte to Texas City, paralleling the
coastline of Galveston Bay, and from Harrisburg to
Magnolia Park (Tower 102) in Houston. At Harrisburg, the GL&H tracks crossed the GH&H and GH&SA
near the existing junction. In
1899, a newly chartered railroad, the Galveston, Houston & Northern (GH&N), was
established to acquire the GL&H which had gone into bankruptcy as their
bridge across Galveston Bay was being built (and then promptly wiped out by the
Great Hurricane of 1900.) On December 31, 1903, the Railroad Commission of Texas
(RCT) authorized operation of Tower 30 as a 24-function mechanical interlocker to control the
junction at Harrisburg. GH&H, GH&SA and GH&N were listed as the operating railroads. After
the GH&N was acquired by GH&SA in 1905, RCT's annual list of interlockers
dropped the reference to GH&N. It remained this way until the 1927 RCT
Annual Report added "PTA" to indicate the Port Terminal Railroad Association
(PTRA). The PTRA had been created in 1924 to begin providing coordinated rail
access among the major railroads for the Port of Houston, including construction
of new tracks where necessary. Tower 30 was less than a mile from the Houston
Ship Channel, so it is not surprising that PTRA-related controls were added to
Tower 30's responsibilities.
Tower 30 sat in what was effectively the southwest quadrant of the crossing,
but due to the angles of the tracks, it was closer to being due south of the
diamond. The Tower 30 junction eventually became known to railroaders as "Katy Neck", a
term still in use by railroaders today. The GH&H continued with shared ownership
until it and the Katy were fully merged into Missouri Pacific in 1989. The GH&SA
tracks became owned by the Texas & New Orleans (T&NO) railroad, the principal operating railroad in Texas
for the Southern Pacific (SP) system. Today, all lines crossing at Katy Neck
(other than PTRA tracks) are owned by Union Pacific.

Below: This 1969 photo was taken by
Greg Johnson; the cabin housed the Tower 30 automatic interlocker, with override
controls mounted beside the door.



Above: Changes
to the extensive rail network in the vicinity of the Tower 30 crossing over the
past 100+ years makes it almost impossible to convey the history of all of the
existing lines and the locations of the abandoned lines. The main abandonment is
the GH&N (ex-GL&H) line to Tower 102 which previously crossed Bray's Bayou and intersected
with the GH&SA and other lines near the tower. A power line now occupies
that right-of-way. To put this map in perspective relative to the larger Houston
metropolitan area, Tower 30 is located about 0.6 miles west-southwest of Brady
Island, an island in the Houston Ship Channel.

In comparison to the satellite image, consider
these two maps. The above map is a 1926 T&NO track chart (courtesy Carl
Codney) of the Harrisburg area. The map is oriented such that northeast is "up". The GH&H crossing of the T&NO
is on the map but is not identified as Tower 30. The depot marked on the map was
the T&NO depot for Harrisburg. The "To Houston" at the left edge was the former
GH&N (ex-GL&H) line to Tower 102.
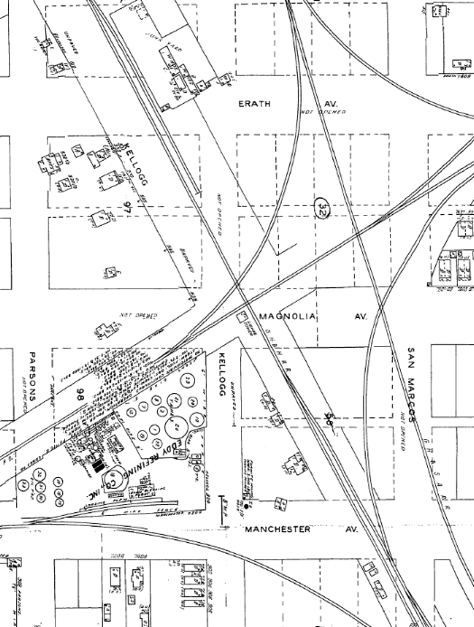
Below: This snippet of a 1913 map of Houston (hat
tip, Leonard Ruback) shows the former GL&H line owned by GH&SA roughly
parallel to the GH&H line, both crossing Bray's Bayou a short distance north of
the Tower 30 crossing. The diamond east of Tower 30 where the GH&SA's east/west
(ex-BBB&C) line crossed GH&SA's north/south (ex-GH&N) line may have originally been controlled
by Tower 30 since the interlocker was installed before GH&SA bought GH&N. How
the tower's interlocker controls evolved over time is not known.
